Traduction par Fanette Pocentek-Leroy. English version here.
Le cratère de la mine Lochnagar, qui a explosé à 7h28 le 1er Juillet 1916, près du village de la Boisselle, est une des traces les mieux connues et les plus dramatiques du champ de bataille de la Somme. Un gouffre béant, résultat d’une explosion massive au commencement de la bataille. Cet article explique comment et pourquoi la mine Lochnagar a explosé, qui sont les hommes qui l’ont creusée, quel effet elle a eu sur les Allemands, et si oui ou non elle a soutenu l’attaque.

Le cratère de la mine Lochnagar © IWM Q3999
Les Glory Hole
La guerre souterraine a commencé dans le secteur de la Boisselle le jour de Noël 1914. Le but de faire exploser une mine sous une position ennemie était de détruire une partie des défenses, mais en général les tunnels étaient stoppés sous le no man’s land par des contre-mines. Quand les Britanniques ont repris le secteur aux troupes françaises, le no man’s land était criblé de galeries de mine souterraines et la surface se formait d’une foule de larges cratères, car les deux côtés combattaient pour détruire les galeries de l’opposant en faisant exploser des charges toujours plus importantes.[1]

La ligne de front du 11ème Régiment d’Infanterie de Réserve allemand au ‘Glory Hole’, appelé ‘Granathof Stellung’ par les Allemands, 1915-16. ‘Tr’ Représente les cratères de mine dans le no man’s land. © Ralph Whitehead
La 179ème compagnie de Tunneliers des Royal Engineers, compagnie britannique spécialisée, arriva dans le secteur en Août 1915 et trouva une domination des Allemands, avec un réseau de tunnels plus profond et plus étendu. Il s’en suivit une lutte désespérée pour contrôler le terrain sous le no man’s land et le secteur devint si marqué par les cratères de mines que les troupes britanniques le nommèrent le ‘Glory Hole’. En Octobre, quand la 185ème Compagnie de Tunneliers fut envoyée pour travailler avec la 179ème, ils avaient creusé jusqu’à la nappe phréatique à environ 30 mètres, mais les Allemands étaient descendus encore plus profondément.[2]

Les systèmes de mine allemand et britannique à la Boisselle. © GoogleEarth et Simon Jones
Ni les Français ni les Britanniques n’avaient réussi à creuser un tunnel sous la ligne de front ennemie, mais les Allemands y étaient parvenus à plusieurs reprises, détruisant tranchées et abris et enterrant vivants soldats l’infanterie et le génie. Les Allemands avaient pris l’ascendant sous le no man’s land du front de l’Ouest et la réponse britannique a été de former avec des mineurs expérimentés des Compagnies de Tunneliers spécialisées. Les officiers étaient surtout des ingénieurs des mines et la 185ème était commandée par le Capitaine Thomas Richardson qui, quelques mois plus tôt, avait la charge de construire des systèmes d’égout à Rio de Janeiro.

Thomas Richardson, premier commandant de la 185ème Compagnie de Tunneliers.
La Genèse de la mine Lochnagar
Le 11 Novembre 1915, dans une nouvelle tentative pour atteindre les tranchées allemandes, Richardson commença un nouveau tunnel loin de tout travail de minage allemand connu. Pour masquer l’entrée à la vue des Allemands, il le commença 120 mètres derrière sa propre ligne de front, dans une tranchée de communication appelée Lochnagar Street, mais pour pouvoir atteindre les lignes allemandes, il devrait courir sur une distance de presque 300 mètres.
Pour masquer encore davantage les travaux et les protéger des tirs d’obus et mortiers, Richardson fit d’abord creuser un puits vertical de 9 mètres et excaver une chambre. A partir de là, il démarra ce qui fut décrit comme « une galerie d’attaque principale » à une pente raide de 45°. Pour enlever les débris, il creusa une autre galerie en pente douce partant de la chambre jusqu’à un point plus de 30 mètres derrière. A la fin du mois, la galerie d’attaque avait avancé de 35 mètres et si elle avait été maintenue à une pente de 45°, elle aurait atteint une profondeur de 33 mètres. Ils avaient aussi commencé une autre galerie à 14 mètres de profondeur, avançant horizontalement vers les lignes allemandes, qui avait atteint une longueur de 16 mètres. Les mineurs progressaient dans les tunnels de 5 mètres maximum par jour, mais la vitesse de travail posait problème à l’infanterie pour dégager les débris. Pour chaque 30 centimètres creusés, environ 48 sacs de débris devaient être dégagés et au début du mois de Décembre, ils posèrent des rails pour faciliter l’excavation.[3] Richardson démarra aussi une troisième galerie vers les lignes allemandes en bifurquant de la galerie d’attaque principale à 29 mètres de profondeur. Comme la galerie à 14 mètres, elle était plus horizontale qu’inclinée.

Joe Cox et Tom Hodgetts, mineurs de Shirebrook, Derbyshire, servant dans la 185ème Compagnie de Tunneliers, photographiés dans la Somme à Albert. Amis avant la guerre, seul Tom a survécu. © Duncan Hunting.
Aux niveaux les plus profonds, la craie était extrêmement dure et l’entrepreneur en ingénierie qui avait recruté les Compagnies de Tunneliers, John Norton-Griffiths, recommanda d’utiliser des piqueurs pneumatiques pour creuser les tunnels au niveau de la nappe phréatique, à entre 24 et 36 mètres de profondeur, pour attaquer les Allemands[4]. Richardson, cependant, n’utilisa pas de compresseur pour percer les tunnels Lochnagar mécaniquement, même s’il y en avait un installé dans le système bien plus étendu de Inch Street dans le Glory Hole. Des foreuses rotatives fonctionnant à l’air comprimé ne remportaient pas un franc succès et se bloquaient dans de petites poches de craie tendre,[5] alors que les perceuses à percussion pouvaient s’entendre de loin sous terre, prévenant l’ennemi de l’activité. Mais l’autre solution était aussi bruyante, puisqu’elle impliquait un grenaillage avec des explosifs placés dans des trous de 2,5cm percés à la main à la surface. La réverbération des détonations s’entendait clairement et était ressentie sur de longues distances sous terre, mais Richardson et ses opposants allemands avaient adopté le grenaillage comme seul moyen de progresser. Le Capitaine Henry Hance, qui commandait la 179ème Compagnie de Tunneliers, n’aimait pas cette méthode car il croyait qu’elle provoquerait l’ennemi et le préviendrait du travail des Britanniques, mais il n’avait pas d’autre choix que de l’adopter.
En janvier 1916, Richardson cessa le travail dans la galerie d’attaque principale, sans doute car elle était bien en dessous du niveau de l’eau et qu’elle nécessitait un pompage constant. Il poursuivit les galeries horizontales à 14 et 29 mètres et, comme le sol s’élevait vers les lignes allemandes, leurs profondeurs atteignirent lentement 15 et 30 mètres. Les raisons de Richardson de creuser des galeries à des niveaux différents ne sont pas très claires, mais elles lui permettaient d’écouter plus efficacement les contre-mines allemandes et lui permettaient aussi de masquer le bruit de la galerie la plus profonde avec un travail délibérément bruyant au niveau supérieur.[6]
Suspicions allemandes : le travail du silence
Le tas de débris des travaux du Lochnagar devint bientôt « une montagne colossale de craie blanche creusée dans les entrailles de la terre ».[7] Les Allemands pouvaient le voir sur des photographies aériennes et probablement aussi depuis leurs propres lignes, et commencèrent à le bombarder régulièrement. Tôt le 30 Janvier, les Allemands lancèrent un raid sur la ligne de front britannique au sud de la mine Lochnagar, capturant une douzaine d’hommes du Essex Regiment mais ils ne réussirent pas à atteindre l’entrée de la mine.[8] Ils eurent de la chance mais peu après, un désastre frappa le 185ème. Le 4 Février, alors que Richardson expérimentait un appareil d’écoute dans le système de Inch Street, les Allemands firent exploser une importante mine près d’une galerie britannique. Du méthane produit par l’explosion s’introduisit dans le système britannique et explosa, blessant grièvement Richardson et un autre officier. Le vide créé aspira du monoxyde de carbone, produit aussi par l’explosion, qui tua les deux officiers et seize mineurs.
Trois semaines plus tard, la 185ème Compagnie de Tunneliers fut envoyée sur un autre secteur au nord et la 179ème de Hance reprit ses travaux souterrains. A ce moment, la galerie Lochnagar supérieure était avancée sur 240 mètres, la galerie inférieure de 160 mètres. Hance stoppa le travail dans la galerie la plus profonde et continua seulement dans celle du dessus, qui était maintenant à moins de 60 mètres de la ligne de front allemande. Le danger d’être détecté était maintenant extrêmement présent. Ils arrêtaient souvent le travail pour écouter les bruits d’une contre-mine allemande, souvent pour de longues périodes, et le 8 mars, aucun son ne fut audible à l’oreille nue pendant 24 heures. A la fin de ce mois, la face du tunnel Lochnagar était à 43 mètres environ des Allemands et la 179ème devait essayer de travailler dans un silence complet pour que les Allemands ne les découvrent pas. Les bennes de débris poussées à la main étaient trop bruyantes, même si elles avaient des pneus en caoutchouc et couraient sur des rails en bois et, comme se souvient un des officiers, James Young, « à la fin, tout se faisait à la main ».[9] Le lieutenant Stanley Bullock décrit le sol comme de « la craie cassée », ce qui signifie qu’il était possible d’introduire une pointe de baïonnette dans les fissures à la surface, et Hance décrit les méthodes utilisées pour ne pas être entendus :
Tout se faisait en silence. Beaucoup de baïonnettes étaient montées sur des manches. L’opérateur insérait la pointe dans une fissure sur la « face », ou le long d’un silex, qu’on trouvait en grand nombre dans la craie, il la faisait tourner pour déloger un morceau de pierre de taille variable qu’il attrapait avec son autre main et posait sur le sol. Si, pour une raison ou une autre, il devait y mettre plus de force, un autre homme derrière lui attrapait la pierre dans sa chute. Les hommes travaillaient pieds nus, le sol de la galerie était tapissé de sacs de sable et un officier était toujours présent pour garder le silence. Quand les sacs se remplissaient, ils étaient passés le long de la ligne d’hommes assis sur le sol, et empilés contre le mur, près à être utilisés plus tard pour tasser.[10]

Henry M. Hance, commandant de la 179ème Compagnie de Tunneliers, photographié avant la guerre. © Mr J. Bennett et Simon Jones
Pour ventiler le long conduit, ils utilisaient de grands soufflets de forgeron connectés à un tuyau qui courait jusqu’à la surface de travail, mais l’air était quand même si pauvre que les bougies ne brûlaient qu’à l’endroit précis où l’air sortait du tuyau.[11] Ils réduisirent la taille de la galerie à environ 1,40m de haut sur 60 cm de large, réduisant l’excavation, mais les conditions étaient encore plus inconfortables. Hance se souvient :
Le travail était extrêmement laborieux, et si nous avancions de 45cm en 24 heures, nous pensions avoir bien travaillé.[12]
En fait, l’avancée moyenne pendant le mois de Mars tomba à 30cm par jour.[13]
Dans le système de Inch Street, les galeries des deux côtés étaient tellement proches sous le no man’s land qu’une irruption, décrite par Bullock comme « une des choses que nous redoutions », était attendue quotidiennement et finit par se produire le 10 Avril 1916.[14] Le capitaine Wilfred Creswick, en charge des travaux de Inch Street et de Lochnagar, entra dans une galerie ennemie mais les Allemands firent sauter une mine toute prête et il fut tué, avec deux autres mineurs travaillant à côté, et leurs corps ne furent jamais retrouvés. Creswick fut remplacé en tant que Commandant de Section par James Young, un dirigeant de houillère de Kilmarnock. Il devait être en charge de terminer, charger et faire exploser la mine Lochnagar. Le lendemain, les Allemands lancèrent une attaque sur la ligne de front au-dessus de la mine Lochnagar pour la seconde fois, capturant 29 soldats d’infanterie britanniques mais, encore une fois, ils n’allèrent pas jusqu’à l’entrée du tunnel. Le jour de l’attaque, Hance fut envoyé pour un congé prolongé dans un centre de repos à Marseille pour des raisons qui n’ont pas été précisées mais sans doute à cause de la fatigue, et il ne revint que le 7 juin. Jusque là, la 179ème fut sous le commandement du second, le capitaine Gilbert Rowan, un directeur de houillère de Fife. Ce fut une période de préparation cruciale pour l’offensive de la Somme.

Gilbert Rowan, qui commanda la 179ème Compagnie de Tunneliers pendant une grande partie de la préparation de la Bataille de la Somme. © Fiona Middlemiss
Le tunnel Lochnagar était dirigé vers une position allemande appelée Schwabenhöhe, à partir de laquelle les Allemands avaient un large champ de tir contre les attaquants britanniques qui traversaient une zone appelée Sausage Valley. Hance décrit un objectif en trois parties :
(1) détruire la tranchée ennemie et renverser sa mitrailleuse à cet endroit, où sa tranchée forme un saillent proéminent (2) détruire son système souterrain quel qu’il soit (3) tuer les troupes qui pourraient être à l’abri sous terre pendant notre bombardement. [15]
A la mi-Avril, la 179ème divisa le tunnel pour viser deux points de la ligne de front allemande, avec l’intention de placer deux mines, à 75 mètres de distance, mais alors que les branches avançaient lentement, ils commencèrent à entendre les bruits des Allemands au-dessus, creusant en descendant de leur propre ligne de front. Les opérations de minage allemandes étaient menées par les troupes de Württemberg de la 1ère Compagnie de Réserve des 13ème Pionniers, commandés par le Lieutenant Sihler. Il devait suspecter une activité britannique car en Avril, alors qu’il avait commencé deux galeries d’écoute souterraine depuis Schwabenhöhe, le 22 on rapporta que des bruits avaient été entendus devant la partie sud et il commença trois tunnels de plus pour essayer de localiser la source. A la fin du mois, les deux plus proches des Britanniques étaient à environ 40 mètres mais, même si le plus au sud fut légèrement dévié vers le tunnel britannique, ils continuèrent tout droit, suggérant que Sihler n’avait pas trouvé sa localisation. A la mi-juin, les deux galeries de Sihler les plus proches du tunnel Lochnagar étaient descendues à 27 et 26 mètres, presque deux fois plus profond que les Britanniques.[16] « Jerry était très proche et en-dessous de nous » se souvient Young et, alors qu’ils travaillaient silencieusement dans le tunnel Lochnagar, les mineurs britanniques pouvaient entendre clairement les Allemands à l’oreille nue, dans une galerie descendant de leur ligne de front, « marchant lourdement dans leur pente » et aussi clairement au-dessus dans les abris.[17] Mais les bruits ne s’approchèrent pas plus. Sihler savait qu’ils étaient quelque part, mais pas où exactement.
L’approche de l’attaque sur la Somme
Pendant les mois d’Avril et Mai, Rowan a dû faire face à l’augmentation des demandes pour ses hommes, à l’approche de l’offensive sur la Somme. La 179ème était engagée sur une deuxième importante galerie de mine sur le flanc gauche du village de la Boisselle, dirigée vers une position allemande appelée Sape Y, qui devait être encore plus longue que le tunnel Lochnagar. Rowan avait aussi reçu l’ordre de creuser une série de tunnels peu profonds à travers le no man’s land, appelés ‘Sapes Russes’, non seulement à la Boisselle mais à l’opposé à Ovillers et au Nord à Thiepval, prévus pour des positions de mortier ou de mitrailleuse et pour permettre l’envoi de renfort quand la ligne de front allemande serait prise. L’un d’eux, appelé Kerriemuir, fut commencé en Avril à environ 120 mètres à gauche de la mine Lochnagar. Rowan avait dû retirer un quart de son effectif du système de tunnels du Glory Hole pour travailler sur les Sapes Russes et la détonation de mines au Glory Hole fut stoppée sauf en cas d’absolue nécessité.[18] Hugh Kerr, chargé du tunnel de la Sape Y, rend hommage aux hommes de la 179ème :
Les hommes faisaient un travail acharné – on n’a jamais vu des travailleurs pareils. Ils ont tout donné. Nous avions plus de 900 gaillards à la fois, environ 600 ou 700 soldats rattachés pour soulever les sacs de sable hors de là. [19]
Le 15 Mai, Rowan assista à une réunion au quartier général du IIIème Corps, où l’attaque à venir fut expliquée. Dix jours plus tard, il souffrit d’un retour d’un ulcère gastrique. Ce n’est que mi-Juin, quand le commandant de la 4ème Armée, le Général Rawlinson, donna les ordres pour l’attaque que le reste de la 179ème fut tout à fait informée. La pression du travail était aussi un indicateur pour les hommes et pendant la fin du mois de Mai et Juin, certains mineurs passèrent du statut de « tunnelier », payé 6 shillings par jour, à celui de « second tunnelier », payé 2 shillings et 2 pence, pour « inefficacité » ou « paresse », un coup important pour la fierté d’un mineur qui pouvait gagner bien plus chez lui. Le 19 Juin, un sergent déserta mais il lui fut ensuite permis de rejoindre les rangs.
La mine de la Sape Y atteignit son objectif sous la position allemande, aux dépends du travail silencieux, mais la progression au Lochnagar était si lente que le temps vint à manquer. Quand l’ordre d’opération de la 4ème Armée fut envoyé le 14 Juin, aucune des deux branches du Lochnagar n’avait atteint la ligne allemande, toutes les deux trop courtes d’au moins 30 mètres. Hance stoppa l’avancée des deux tunnels et commença à creuser les chambres pour contenir les explosifs. Pour compenser, il devrait « surcharger » les mines avec bien plus d’explosifs que nécessaire pour former simplement un cratère, pour envoyer un maximum de débris sur les tranchées allemandes : plutôt que de faire sauter les défenseurs, ils les enterreraient vivants. La surcharge permettrait aussi de former de hautes lèvres avec les débris comme barrière contre les tirs allemands sur les flancs, en particulier venant du village de la Boisselle à travers le no man’s land, et pour créer une hauteur depuis laquelle les attaquants pourraient observer et tirer sur les lignes allemandes. Mais il fallait pour cela que les attaquants atteignent les hautes lèvres avant les Allemands et les expériences précédentes avaient montré que les Allemands étaient plus rapides que les Britanniques pour prendre les bords des cratères, même pris par surprises.
Le plan de la 34ème Division pour prendre la zone lourdement fortifiée de la Boisselle reposait sur une attaque convergente qui envelopperait le village. Plutôt que d’aider cette attaque, les mines risquaient de la déranger, car l’infanterie devrait en attaquant passer d’un côté ou de l’autre des mines Lochnagar et de la Sape Y, laissant des espaces vides dans l’avancée. Le bataillon qui avait sur sa gauche la mine Lochnagar, les 10ème Lincoln (Grimsby Chums), devait retarder son avancée à cause de la nécessité de se retirer de leur ligne de front face au danger d’effondrement des tranchées et des retombées de débris. Le no man’s land était plus large à droite de la mine et cela signifiait qu’ils devaient traverser un espace encore plus grand. Quand le commandant de la brigade qui devait mener l’attaque à cet endroit (Brigadier-Général R.C. Gore, 101ème Brigade d’infanterie) briefa les officiers de son bataillon sur l’opération à venir, l’un d’eux, le Lieutenant-Colonel Urmiston, 15ème Royal Scots, objecta que la mine allait retarder l’avancée et laisser ses hommes vulnérables face aux tirs de mitrailleuses venant de la gauche quand les mitrailleurs allemands pourraient se concentrer entièrement sur son bataillon. Il proposa de changer de place avec les Lincoln, plus près de la mine, et d’affronter le risque des débris, si cela signifiait que toutes les unités pourraient avancer en même temps. Selon Urmiston, son offre fut refusée par le commandant de brigade qui se sentait incapable de modifier les décisions déjà prises par le haut commandement.[20]
L’heure de détonation des mines le 1er juillet 1916 devint controversée quand celle de Beaumont-Hamel sauta 10 minutes avant l’heure Zéro.[21] Cette erreur fatale donna non seulement aux Allemands un parfait avertissement de l’imminence de l’attaque mais elle bouleversa aussi l’heure cruciale pour la levée des barrages dans tout le secteur, enlevant à l’infanterie la protection de leurs propres armes pour que les troupes puissent essayer de prendre le cratère avant l’attaque principale. Cette proposition ne fut pas faite pour la Boisselle, où initialement la mine Lochnagar devait sauter une minute avant Zéro et la mine de la Sape Y à l’heure Zéro. En quelques jours, les ordres furent modifiés pour que Lochnagar saute deux minutes avant Zéro, puis que les deux mines sautent à cette heure.[22] Cette décision a sans doute été prise par précaution pour que les attaquants ne soient pas blessés par les retombées de débris et le danger d’un léger retard dans la détonation des mines. Deux minutes étaient en fait plus que convenables pour que les débris retombent mais cela demandait une coordination précise de la mise à feu de la mine et de l’avancée de l’infanterie. L’infanterie était impatiente de traverser le no man’s land dès que le barrage avancerait sur la ligne de défenses suivante, avant que les Allemands ne puissent ouvrir le feu, mais l’officier des mines dans les tranchées devait faire sauter la mine avec précision pour se synchroniser avec le barrage d’artillerie et l’attaque de l’infanterie. La décision sur l’heure n’aurait pas été celle de Hance même s’il a pu être consulté et s’il avait eu une opinion. Il avait reçu la Military Cross pour avoir chargé et fait sauté une mine le 15 Juin 1915 à Givenchy, qui avait tué un officier canadien et enterré d’autres attaquants. Quant à Lochnagar, elle fut surchargée parce qu’elle n’avait pas atteint la ligne allemande et la détonation eut lieu aussi deux minutes avant Zéro.[23]

Photographie aérienne avec les mines allemande et britannique au sud du Glory Hole avant l’heure Zéro le 1er Juillet 1916.
Charger la mine
Quand Hance calcula la quantité d’explosifs nécessaires au Lochnagar et à la Sape Y, il n’avait jamais entendu parlé de quelqu’un d’autre ayant provoqué des explosions aussi importantes. Il allait placer 18,1 tonnes à la Sape Y et deux charges de 13,6 tonnes au Lochnagar. La branche gauche au Lochnagar était à peu près à 90° de la tranchée allemande, alors que la branche droite, plus longue, s’approchait à environ 45°. Il divisa donc les charges de manière inégale, mettant 10,9 tonnes du côté gauche et 16,3 tonnes dans la branche plus longue à droite. Les deux chambres n’étaient pas assez grandes pour les charges qui déborderaient dans les galeries jusqu’à la jonction et les charges formeraient un seul cratère massif. Les 27,2 tonnes combinées donneraient alors à la 179ème Compagnie de Tunneliers le record de la plus grosse mine détonnée par les Britanniques.[24] Au même moment, la 179ème ferait sauter deux charges de camouflet de 3,65 tonnes dans le système Inch Street pour détruire les galeries allemandes, portant à 52,6 tonnes le poids total devant être transporté sur la ligne de front et dans les tunnels.
Depuis le 5 Juin, la 179ème savait que l’attaque serait précédée de cinq jours de préparation d’artillerie et d’attaques au gaz, pendant lesquelles les tranchées devaient être aussi vides que possible. En plus du danger des tirs d’obus britanniques trop courts, les Allemands allaient sûrement répondre avec un contre-bombardement et il fallait terminer de charger les mines avant, même si la date n’avait pas encore été annoncée. Bullock décrit comment les explosifs pour la mine Lochnagar et les deux camouflets ont été amenés de nuit, dans des chariots tirés par des chevaux jusqu’à un château juste derrière les lignes à Bécourt, qui abritait aussi une unité médicale et le quartier général de la Brigade :
A la grande angoisse du commandant de Brigade, qui avait sûrement des raisons d’avoir peur puisque, si cela venait à exploser, ce qui était fort probable puisque les Allemands bombardaient fréquemment cet endroit, lui et son équipe et le poste de secours seraient tous envoyés tout là-haut.[25]
Chaque nuit pendant environ une semaine, des détachements d’infanterie transportaient plus de 1500 boites, chacune contenant 23 kilos d’ammonal, jusqu’à l’entrée des mines :
Moi ou un autre des Officiers Tunneliers devions toujours aller à la rencontre de ces détachements pour voir si le travail était accompli correctement et en même temps pour les guider à travers les tranchées. Comme on peut l’imaginer, ce n’était pas une tâche particulièrement appréciée par ceux concernés car, non seulement c’était un travail très pénible, parce que les tranchées à ce moment étaient humides et grasses, mais transporter des explosifs avec la probabilité d’obus vous tombant dessus n’était pas un travail particulièrement attirant non plus. Quand l’infanterie a eu fait ce travail pendant deux ou trois nuits, l’impression générale parmi eux était que nous rassemblions assez d’explosif pour faire sauter les Fritz jusqu’à Berlin.[26]
Les boites faisaient environ 30cm² et, selon l’un des Grimsby Chums, chaque homme d’infanterie devait en porter deux :
… nous transportions l’ammonal jusqu’à l’entrée d’un puits de mine, dans des boites en bois carrées, chacune contenant 23 kilos, deux attachées ensemble avec de fins morceaux de bois qui servaient de poignées. La première nuit nous étions dans une tranchée derrière le château, attendant l’ordre de s’éloigner, quand nous avons été surpris par une pluies de 5.9 et la quasi-débandade qui a suivi. Heureusement, ceux de devant se sont éloignés rapidement, et ceux de derrière n’ont pas perdu de temps à suivre. Les boites ont été transportées en un temps record ![27]
Pendant la journée, ils transvasaient l’ammonal dans des sacs en toile caoutchoutés pour le garder au sec pendant les deux semaines où il resterait dans la chambre. Chaque sac contenait environ 13,5 kilos et pour les charges du Lochnagar ils en remplirent 2000. Un tunnelier décrit le transvasement comme :
Un travail dangereux et déplaisant, la poussière d’ammonal tâchant tout ce qui entrait à son contact, dont les bras et les visages, un jaune violent et persistant.[28]
La charge de Lochnagar a été démarrée par le Capitaine James Young et le Lieutenant Ralph Fox et ils pensaient pouvoir faire la moitié du travail avant d’être relevés au bout de 48 heures. Ils n’utilisèrent pas les chariots à roue de peur d’alerter les Allemands et la quantité d’hommes nécessaire dévora bientôt tout l’oxygène disponible dans le tunnel exigu de 275 mètres. Quand Bullock et le sous-lieutenant Alexander McKay ont repris la place, ils n’ont trouvé qu’environ vingt sacs chargés. Plutôt que d’essayer de porter les sacs en bas du tunnel, ils ont organisé une chaine humaine sur toute la longueur, tandis que les officiers allaient chacun leur tour mettre en place les sacs dans les chambres et dans les branches de la galerie :
Nous avions décidé de nous occuper de ça le plus vite possible et nous avons chacun pris des tours de huit heure à la paroi avec des aller-retours réguliers dans le tunnel pour que l’infanterie continue de passer les sacs de l’un à l’autre à pleine vitesse. On ne pouvait y arriver qu’en espaçant les hommes d’1,80 mètres, réduisant ainsi la distance de portage pour chaque homme.[29]

Sur cette photographie mise en scène, un officier tunnelier montre un appareil d’écoute géophone pendant que les mineurs semblent tasser une charge de mine. En réalité, le géophone était trop sensible pour être utilisé quand les hommes travaillaient à proximité. © IWM Q115
Pendant tout ce temps, ils avaient conscience des Allemands au-dessus et en-dessous mais, tant qu’ils pouvaient les entendre, ils savaient qu’ils n’allaient pas sauter. L’habitude des Allemands était d’arrêter le travail entre minuit et 7h : c’était dans cette période de silence que le risque de sauter était le plus grand, mais la 179ème ne pouvait pas arrêter le travail. A 7h, ils avaient chargé environ 400 sacs et attendaient avec anxiété que les Allemands reprennent. A la place, il n’y eut que le silence que Bullock trouva menaçant et terrifiant :
Nous pensions tous que les Boches devaient avoir compris ce que nous étions en train de faire, et nous nous attendions presque à ce que tout saute d’une minute à l’autre, la seule consolation étant que nous ne saurions pas ce qu’il s’était passé.[30]
Finalement, après une heure, les Allemands reprirent le travail comme d’habitude. Bullock ne comprit jamais la raison de ce retard. Plus tard ce matin-là, ils avaient chargé la moitié des explosifs et les détonateurs et les câbles étaient prêts à être placés dans les charges. Les deux charges de Lochnagar nécessitaient douze détonateurs, connectés en série, chacun inséré dans un apprêt en nitrocellulose, placés dans des sacs d’explosifs et enterrés régulièrement dans la charge, avec en plus un système complet de secours de douze autres détonateurs au cas où le premier échouerait. C’était la partie la plus dangereuse du travail, menée par les officiers dans les chambres, entourés de centaines de sacs d’explosifs. Bullock et McKay avaient inséré tous les détonateurs, connecté les câbles et chargé les deux chambres aux trois-quarts quand Young vint cet après-midi-là pour les relever. Il pensait vérifier que les détonateurs étaient correctement placés et que les câbles étaient bien connectés mais Bullock et McKay avaient travaillé bien plus vite qu’il ne s’y attendait – on peut sentir de la rivalité entre les équipes et les officiers – et Young n’eut pas d’autre choix que d’informer Hance que tout était en ordre. Le matin suivant, ils avaient terminé de charger et commencé à remblayer, ou tasser, le tunnel. Ils avaient stocké des centaines de sacs de craie le long de la galerie en prévision et les utilisèrent pour bloquer solidement le tunnel sur une centaine de mètres depuis l’embranchement.
Heure Zéro
Le 23 Juin, la 4ème Armée donna l’ordre de commencer le bombardement le jour suivant, amenant le jour Zéro au 29. Dans l’après-midi du 28 Juin, six officiers détachés par Hance pour faire sauter les quatre mines allèrent au quartier général de la 34ème Division pour recevoir leurs instructions pour l’attaque le jour suivant. La détonation de Lochnagar était à la charge de James Young et du sous-lieutenant Ralph Fox, Stanley Bullock et Alexander McKay devaient faire sauter les deux mines de Inch Street et la Sape Y serait mise à feu par le capitaine Hugh Kerr et le lieutenant Ralph Hawtrey. Ils apprirent que l’heure Zéro était fixée à 7h30 et qu’ils devaient faire sauter les quatre mines deux minutes avant. Ils réglèrent leurs montres ensemble au quartier général, qui avait été lui aussi synchronisé par d’autres soldats envoyés à chaque quartier général tout le long de la ligne d’attaque. A peine avaient-ils rejoint la ligne de front, après un long trajet à travers les tranchées encombrées de troupes se préparant à l’attaque, qu’ils reçurent l’ordre de revenir. L’heure Zéro avait été repoussée de deux jours, jusqu’au 1er juillet. Le mauvais temps avait empêché un bombardement précis des positions allemandes et des tirs plus longs étaient nécessaires.

Ralph Hawtrey, James Young et Stanley Bullock, 179ème Compagnie de Tunneliers, à Albert le 28 Juin 1916, avant de partir pour la ligne de front pour le début de la Bataille de la Somme. Ralph Hawtrey fut tué au Bois des Fourcaux en Septembre. © Mrs A. Russell et Simon Jones.
Quand l’équipe de mise à feu s’avança pour la seconde fois, la riposte allemande avait commencé : les obus à shrapnells explosant dans les airs offraient « une des plus brillantes démonstrations de feux d’artifice » que Bullock eut jamais vue. [31]
Les câbles de mise à feu furent amenés jusqu’aux abris près de la ligne de front, où tôt le matin, les six officiers tunneliers étaient occupés à vérifier et revérifier les circuits de mise à feu en envoyant un faible courant à partir d’une batterie pour faire vibrer l’aiguille d’un galvanomètre. Même s’ils avaient utilisé des câbles doubles pour chaque mine, un bombardement soudain pouvait engendrer une cassure qu’il serait impossible de trouver et de réparer. Tous les efforts auraient été vains et les attaquants perdraient l’avantage que les mines promettaient. A 6h25, le bombardement britannique repris avec un regain d’intensité et de férocité.
Les hommes d’infanterie qui devaient attaquer près des deux mines avaient été prévenus de rester hors des abris instables, de faire attention aux retombées de débris et de s’attendre à des cratères de 140 mètres de diamètre. Une section entière de la ligne de front britannique qui débordait immédiatement sur la droite de l’endroit de l’explosion du Lochnagar fut évacuée par les 10ème Lincoln (Grimsby Chums) à cause du danger. Sur la gauche, chez les Tyneside Scottish quelqu’un dans la première vague cria à ses hommes cinq minutes avant Zéro : « MAINTENANT ! Accrochez-vous au parapet les gars, elle saute. »[32]
A l’opposé, principalement dans leurs abris et dans les caves de la Boisselle, les hommes de Baden du 110ème Régiment d’Infanterie de Réserve avaient enduré une semaine de souffrances à cause des explosions, de la soif et de la faim. Mais dans la plupart des cas, même si leurs tranchées étaient en ruine, les abris avaient tenu contre les obus britanniques et seulement au sud de Schwabenhöhe les lourds mortiers avaient provoqué des effondrements.
A 7h28, Stanley Bullock enfonça la poignée de son exploseur pour mettre à feu la première des mines de Inch Street. Après une très courte pause, il sentit le sol trembler sous ses pieds, quelques secondes plus tard une nouvelle secousse lui apprit que Young avait mis à feu Lochnagar avec succès :
Pendant l’attente qui s’ensuivit, avant que je ne sente la mine suivante exploser, il n’y eut aucune pensée pour les vies détruites et le matériel perdu quand des milliers de tonnes d’explosifs se sont volatilisés, seulement pour les ordres appliqués fidèlement. [33]
McKay a ensuite actionné son piston. Ils ne remarquèrent pas la Sape Y qui sautait mais Kerr la mit à feu avec succès. Sur le sol, les ondes de choc des mines furent bien plus ressenties qu’entendues, il n’y eut pas de détonation, que ce soit dans la Somme ou en Angleterre comme on le déclara bien plus tard,[34] mais 2500 mètres au-dessus du champ de bataille, les ondes acoustiques atteignirent un pilote qui avait été prévenu de rester loin de la Boisselle mais qui avait fait tourner sa machine pour observer les détonations de Lochnagar et de la Sape Y :
… la terre se souleva et éclata, une formidable et magnifique colonne s’éleva dans le ciel. Il y eut un grondement assourdissant, noyant tous les canons, jetant la machine de côté par les répercutions. La colonne de terre s’éleva, de plus en plus haut jusqu’à presque 1200 mètres. Là elle resta suspendue, ou sembla être suspendue, pour un moment dans les airs, comme la silhouette d’un grand cyprès, puis retomba en un cône de plus en plus large de débris et de poussière. Un instant après vint la seconde mine. A nouveau le grondement, la machine projetée, l’étrange silhouette désolée envahissant le ciel. Puis la poussière est retombée et nous avons pu voir les deux yeux blancs des cratères.[35]

‘The Great Mine, La Boisselle’, par William Orpen, 1917. © IWM (Art.IWM ART 2379)
Un officier du 3ème Tyneside Scottish, dans la seconde vague sur la gauche de la mine Lochnagar, était exalté :
… nous avons été témoins du spectacle le plus merveilleux. Une énorme colonne de craie a été envoyée à plusieurs centaines de mètres dans les airs et est retombée dans une belle cascade blanche.[36]
Un des Grimsby Chums a décrit ‘tout le sol autour ondulant et se balançant comme pendant un tremblement de terre’ et un autre, qui appuyait sa jambe contre la tranchée, a eu le membre cassé par l’onde de choc.[37] Ils ont senti le sol onduler trois fois et ils ont vu une couche de terre se soulever et dans son sein l’explosion d’un noyau ambré :
De gros blocs de terre, grands comme des wagons de charbon, furent soufflés vers le ciel pour foncer et rouler et puis commencer à fuser tout autour de nous. Un grand geyser de boue, de craie et de flamme s’était élevé et s’affaissait devant nos yeux.[38]
Un autre compare l’ondulation du sol au plateau d’une balance :
En regardant par-dessus le parapet, on pouvait voir un mur immense s’élever jusqu’à 90 mètres, composé de craie, de boue, de poussière, d’étais, etc… avec ici et là un Allemand.[39]

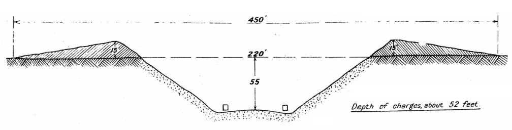
Le cratère Lochnagar, peu après l’explosion, montrant la localisation des deux charges. Tiré de ‘the Work of the Royal Engineers in the European War, 1914-19’. Military Mining (Chatham, 1922).
La mine Lochnagar projeta jusqu’à 84 000 tonnes de terre et de craie et laissa un cratère de 67 mètres de diamètre et 17 mètres de profondeur.[40] Les débris enterrèrent 180 mètres de ligne de front allemande et l’infanterie de Baden dans les abris n’avait aucune chance : certains furent instantanément désintégrés, certains projetés dans les airs, écrasés ou mourraient lentement prisonniers 10 mètres sous terre. A la Sape Y, la mine détruisit complètement la position avancée allemande, laissant un cratère aux lèvres hautes de 40 mètres de large mais, ayant repéré les Britanniques qui creusaient sous eux, les Allemands s’étaient retirés de cette position avancée et ne subirent aucune perte.
Deux minutes après l’explosion des mines arriva l’heure Zéro. Alors que les canons britanniques levaient les tirs sur la ligne de front allemande pour une position plus en arrière, 4000 soldats britanniques lourdement chargés grimpèrent hors de leurs tranchées et commencèrent à marcher à travers les champs foisonnants du no man’s land, pendant que, derrière eux, 4000 autres déferlaient. Bientôt d’autres avanceraient, car le commandant de la 34ème Division avait déployé ses 12000 hommes d’infanterie tous ensemble contre la Boisselle.
A part autour de la mine Lochnagar et au sud de Schwabenhöhe, les profonds abris allemands avaient tenu face au bombardement britannique. Les explosions de mine et la levée du barrage britannique alerta les hommes d’infanterie de Baden sur l’imminence de l’attaque longtemps attendue. Les survivants émergèrent des abris avec des mitrailleuses et des fusils pour ouvrir le feu sur les rangs de soldats avançant en lignes ordonnées à travers les herbes hautes et balayant les pentes en colonnes. Deux minutes après leur départ, les premiers attaquants furent frappés par les tirs de mitrailleuses et de fusils allemands. Nombre des Grimsby Chums et du 11ème Suffolk furent touchés avant même d’avoir dépassé leur propre ligne de front, ayant été reculés pour éviter les débris de la mine Lochnagar. La vitesse d’avancée avait été minutieusement réglée pour rester derrière le barrage de défense britannique mais alors que les hommes de devant fléchissaient, les suivants les rattrapèrent et les hommes regroupés formaient des cibles parfaites. En dix minutes, quatre-vingt pour cent des bataillons de tête furent touchés. Les pertes subies par la 34ème Division à la Boisselle furent les pires de toutes pour le 1er Juillet 1916.[41] Urmiston avait raison sur sa prédiction d’un feu allemand important, mais il fut enduré par tous les bataillons à l’attaque. Cependant, la mine Lochnagar détruisit avec succès une partie de la ligne de front allemande. La destruction permit aux attaquant de pénétrer la ligne de front allemande et de la dépasser jusqu’à ce que, sous la contre-attaque, ils soient obligés de reculer jusqu’à la zone du cratère.[42] Dans son rapport sur la mine, Hance déclara que la mine avait été bénéfique pour les attaquants en causant « des pertes considérables » aux Allemands et que :
par la violence du choc sur sa garnison, et l’abri offert par les lèvres même du cratère, elle avait permis à notre infanterie à l’attaque d’atteindre ses tranchées ici, et de les dépasser dans un premier assaut, avec relativement peu de pertes. Les pertes ainsi subies avait dû être causées par un feu sur les flancs. L’infanterie devait aussi cette nuit-là s’installer dans le cratère, formant une position avancée devant nos tranchées de départ.[43]

L’attaque de la 34ème Division le 1er Juillet 1916 (British Official History).
La Sape Russe Kerriemuir avait été prévue pour permettre le réapprovisionnement de la ligne de front capturée dans le cas de cette éventualité. La nuit avant Zéro, la 179ème était supposée avoir préparé le tunnel avec seulement 60cm de couverture laissée avant d’atteindre la surface, aux trois-quarts du no man’s land. Le travail final pour l’ouvrir juste après l’explosion des mines revint à la charge d’un peloton des 18ème Northumberland Fusiliers Pioneers sous le commandement du lieutenant John Nixon. Le soir du 30 Juin, cependant, Nixon fut choqué d’apprendre que ses hommes devraient creuser à travers 3,5 mètres de craie pour ouvrir le tunnel, une journée entière de travail. Ils commencèrent donc le travail à minuit et réussirent à ouvrir le tunnel Kerriemuir une heure avant Zéro, et il fut utilisé plus tard dans l’après-midi pour envoyer des hommes pour renforcer la ligne allemande capturée au Schwabenhöhe (il n’était pas, comme on le dira plus tard, relié au cratère de mine de Lochnagar).[44]

Un tumulus au fond du cratère Lochnagar, Septembre 1917. © IWM Q49394
Même si la mine Lochnagar a apporté de l’aide lors de l’attaque britannique, les pertes allemandes causées par l’explosion ont été l’objet de déclarations confuses et exagérées du côté britannique. L’inspecteur des mines du GQG, le brigadier-général R.N. Harvey, se rendit sur place une semaine après l’attaque et parla aux officiers de la 179ème qui étaient en service. Il décrira plus tard les effets que la mine Lochnagar avait eu, croyait-on, sur les Allemands :
Nous avons estimé avoir enseveli 9 abris profonds, chacun avec un officier et 35 hommes – car des prisonniers ont été pris dans l’abri suivant, ils étaient tous prêts à partir et l’officier a dit qu’il y avait 9 autres abris avec le même nombre d’occupants, soit 9 x 1 officier et 35 hommes – 9 officiers et 315 hommes. En résultat, nos troupes sont passées avec peu de pertes.[45]
L’histoire officielle britannique a attribué à tort la déclaration de Harvey à la mine de la Sape Y plutôt qu’au Lochnagar, mais ni l’estimation d’Harvey des pertes allemandes ni sa déclaration de pertes légères pour les attaquants ne sont appuyées par les preuves et il n’y a aucune archive d’une tentative britannique de mettre au jour des abris allemands effondrés ou détruits par la mine.[46] Les archives allemandes montrent qu’en aucun cas un nombre d’hommes tel que celui avancé par Harvey ne tenait la ligne de front désignée, qui faisait partie du secteur de la 5ème Compagnie du 110ème Régiment d’Infanterie de Réserve. Une analyse des rapports de pertes montre que cette compagnie a subi 109 pertes entre le 27 juin et le 3 juillet, dont 35 rapportés tués ou disparus (tués) le 1er juillet.[47] Il est donc possible que la garnison d’un abri allemand tout au plus ait été perdue suite à l’explosion de la mine Lochnagar.
La Boisselle tomba aux mains des Britanniques le 4 Juillet, mais James Young ne vit jamais le cratère de la mine Lochnagar avant d’être blessé le 8 Juillet. Il survécut à la guerre et mourut en 1949.
Après le remblayage dans les années 70 du cratère de la Sape Y, l’anglais Richard Dunning acheta le cratère pour assurer sa préservation, pour laquelle œuvrent aujourd’hui les Amis de Lochnagar.

Le cratère Lochnagar aujourd’hui (Wikimedia Commons).
Contact me
[1] Les détails des progrès sur la mine Lochnagar viennent des Journaux de Marche des 185ème et 179ème Compagnies de Tunneliers, et des rapports des Journaux de Marches de la brigade et de la division, dans les Archives Nationales du Royaume-Uni.
[2] Des informations sur la guerre souterraine au Glory Hole sont disponibles ici : http://www.laboisselleproject.com/.
[3] [Ministère de la Guerre], Military Engineering Vol. IV Demolitions and Mining, (London, 1923), p. 143.
[4] 21/10/1915 Rapports de John Norton-Griffiths, Archives Nationales WO158/129
[5] J. Young, ‘Notes on 179 Company R.E.’, Tunnellers’ Old Comrades Association Bulletin, No. 13, (1938), pp. 70-72.
[6] Richardson préparait sans doute une « fougasse », avec laquelle les effets d’un ensevelissement des tranchées allemandes avec une masse de débris étaient accentués en faisant d’abord sauter une mine superficielle puis immédiatement après une charge plus profonde.
[7] J. W. Burrows, The Essex Regiment 9th, 10th, 11th, 13th & 15th Battalions, (Southend-on-Sea, n.d.), p. 149.
[8] 53 Brigade WD, Intelligence Report 23-24/1/16; Brigade Operations Report 30/1-5/2/16; R. Whitehead, The Other Side of the Wire, Vol. 1, (Solihull, 2010), pp. 354-357.
[9] Young, ‘Notes on 179 Company R.E.’, op. cit.
[10] H.M. Hance, lettre à J. E. Edmonds, Juin 1930, CAB45/134.
[11] Young, ‘Notes on 179 Company R.E.’, op. cit.
[12] Hance à Edmonds, op. cit.
[13] Plans de mine, 179ème et 185ème Compagnies de Tunneliers, Archives Nationales, WO153/904
[14] Bullock, ‘Exploits in the First World War’, op. cit.
[15] H.M. Hance, Weekly Mine Report, 5/7/16, 34 Division GS War Diary.
[16] Kriegstagebücher, Pionierbataillon Nr. 13, 1. Reserve-Kompanie M414 Bd. 251-260, Landesarchiv Baden-Württemberg Hauptstaatsarchiv Stuttgart.
[17] Young, ‘Notes on 179 Company R.E.’, op. cit.
[18] R.U.H. Buckland, ‘Experiences At Fourth Army Headquarters’, Royal Engineers Journal, 1927, p. 386.
[19] Transcription sur tapuscrit d’un entretien avec H.R. Kerr par A. Barrie, c. 1959, Barrie Papers, Royal Engineers Museum.
[20] A.G.B. Urmston, lettre à J. E. Edmonds, 11/6/1930, Archives Nationales, CAB45/191.
[21] S. Jones, Underground Warfare 1914-1918, (Barnsley, 2010), pp. 118-120.
[22] III Corps Operation Order No. 70, 20/6/1916 III Corps GS War Diary; 103 Infantry Brigade Operation Order No. 24, 21/6/16 103 Brigade GS War Diary; 101 Brigade Operation Order No. 34 23/6/16, 101 Brigade GS War Diary.
[23] 1st Brigade, Canadian Field Artillery War Diary; 1st Canadian Infantry Battalion War Diary; A. Fortescue Duguid, Official History of the Canadian Forces in the Great War 1914-1919, General Series Vol. I, (Ottawa, 1938), pp. 487-489.
[24] La mine la plus importante sur le front Ouest faisait 50 tonnes, mise à feu par les Allemands à Vauquois le 14 Mai 1916. La plus grosse mine britannique de toute la guerre pesait 43,2 tonnes, mine qui a explosé à St Eloi le 7 Juin 1917. Voir S. Jones, Underground Warfare 1914-1918, op. cit., pp. 63-64.
[25] Bullock, ‘Exploits in the First World War’, op. cit.
[26] Bullock, op. cit.
[27] Soldat non-identifié du 10ème Lincoln, cité par E. Swinton (ed.), Twenty Years After, Vol. 2, (London, n.d.), p.928.
[28] J.C. Neill (ed.), The New Zealand Tunnelling Company 1915-1919, (Auckland, 1922), p. 47.
[29] Bullock, op. cit.
[30] ibid.
[31] ibid.
[32] Soldat Elliot, 20/Northumberland Fusiliers (Tyneside Scottish), cité par G. Stewart & J. Sheen, Tyneside Scottish, (Barnsley, 1999), p. 97.
[33] S. C. Bullock, Address to Rotarians, (n.d.), tapuscrit inédit., avec l’aimable autorisation de Mrs. A. Russell.
[34] Il n’y a aucune preuve de personnes déclarant avoir entendu les explosions de mine en Angleterre le 1er Juillet 1916. Il y a apparemment eu confusion avec la déclaration du Premier Ministre Lloyd George, qui déclara avoir entendu la détonation des mines de Messines le 7 Juin 1917, ce qui est peu vraisemblable : il est plus probable qu’il ait entendu les salves de départ de l’artillerie.
[35] Lewis semble avoir largement surestimé la hauteur atteinte par les débris projetés par l’explosion. Cecil Lewis, Sagittarius Rising, (London, 1977), p. 89.
[36] Capitaine Herries, 22/Northumberland Fusiliers (Tyneside Scottish), cité par G. Stewart & J. Sheen, Tyneside Scottish, (Barnsley, 1999), p. 98.
[37] Lt Col E K Cordeaux, cité dans P. Bryant, Grimsby Chums: the Story of the 10th Lincolnshires in the Great War, (Hull 1990), p. 58; M. Middlebrook, The First Day on the Somme 1 July 1916, (London, 1971), p. 120.
[38] Soldat. H. Baumber cité dans P. Bryant, Grimsby Chums: the Story of the 10th Lincolnshires in the Great War, (Hull 1990), p. 56-57.
[39] Soldat non-identifié du 10ème Lincoln cité dans E. D. Swinton (ed.), Twenty Years After, Vol. 2, (London, n.d.), p.928.
[40] Informations données par M. et T. Beech, Multi-Limn Survey, communication personnelle via P. Barton
[41] J. E. Edmonds, Military Operations France and Belgium, 1916, Vol. 1 (London, 1932), pp. 375-384.
[42] R. Whitehead, The Other Side of the Wire, Vol. 1, (Solihull, 2013), Vol. 2, pp. 296-7.
[43] H.M. Hance, Weekly Mine Report, 5/7/16, 34 Division GS War Diary.
[44] Une carte de l’histoire officielle britannique montre à tort le tunnel avançant dans le cratère Lochnagar, J. E. Edmonds, Military Operations France and Belgium, 1916, Vol. 1, op. cit., Map Volume, map 8.
[45] R.N. Harvey, lettre à J. E. Edmonds, n.d. (c. 1930) CAB45/189.
[46] J. E. Edmonds, Military Operations France and Belgium, 1916, Vol. 1, op. cit. p. 382, fn.
[47] Mes remerciements à Ralph Whitehead pour avoir rassemblé et fourni ces données. Le nombre de tués ou disparus mais non prisonniers le 1er Juillet était de 35, et huit autres disparus mais non prisonniers pendant la période, soit un total de 43 hommes. Voir aussi R. Whitehead, The Other Side of the Wire, Vol. 2, (Solihull, 2013).
(c) Simon Jones. Traduction Fanette Pocentek-Leroy.
Join me on a battlefield tour with The Cultural Experience. We cut out delays at Dover by travelling via Eurostar from London St Pancras to meet our coach in Lille:
The War Poets: Words, Music and Landscapes, 10th-13th July 2023
The Battles of the Marne & the Aisne 1914 – 1918
First & Last Shots 1914 & 1918
Medics & Padres in the Great War
Walking the Somme, Summer 2023
More Information about Battlefield Tours

Virtual Tour of La Boisselle Trenches and Tunnels

